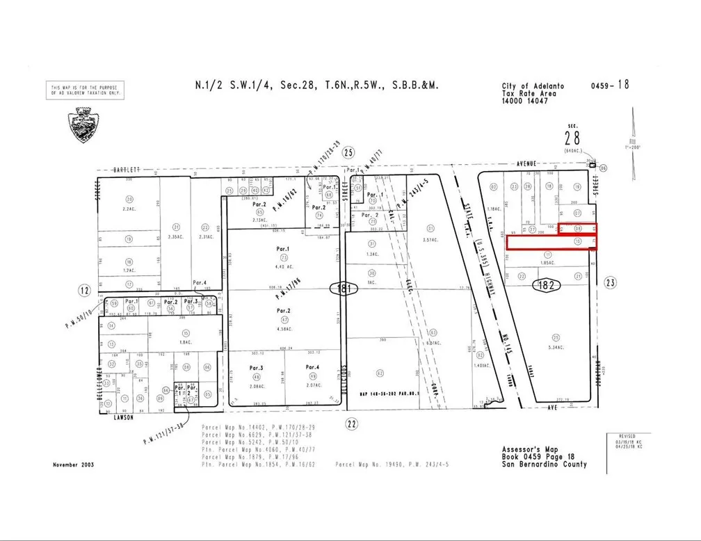
Property Detail

18040 Jonathan

Adelanto CA 92301

$115,000

Status: Active

Property Details

Description

TWO LOTS FOR SALE with 1.15 ACRES located right behind the San Bernardino Sheriff's Department Station. High Visibility Location. Ready for Development with pavement, and all utilities in the street. Two separate APNs - both zoned BP (Business Park). This Zoning allows for a variety of uses - check with the city.

Map Location

Listing provided courtesy of Bill Mota of Homesmart, Evergreen realty. Last updated . Listing information © 2025 PACIFICSOTHEBYSFULLSANDICORCOMBINED.

Fara Fashandi

Fara Fashandi

DRE# 01339461
Inquire Now
admin Real estate 9:00 AM - 5:00 PM 9:00 AM - 5:00 PM 9:00 AM - 5:00 PM 9:00 AM - 5:00 PM 9:00 AM - 6:00 PM 9:00 AM - 5:00 PM 9:00 AM - 5:00 PM https://static.royacdn.com/Site-d5ebc506-f6d5-4a07-b5f2-dbcf57f7639a/homepage/fara_headshot.jpg realtor # # # https://static.royacdn.com/Site-d5ebc506-f6d5-4a07-b5f2-dbcf57f7639a/homepage/fara_headshot.jpg 28207